It was a fascination for faraway places and exotic fish that turned my attention to this site almost ten years ago.
It was a fascination for faraway places and exotic fish that turned my attention to this site almost ten years ago. It was seatrout, salmon and red-bellied char with gaudy flies in their mighty jaws. It was the call of silver and salt and the midnight sun.
Like a lot
of you fellow fly-fishing enthusiasts I was and still am daydreaming a lot about fishing trips or even better: expeditions. Let it be the coasts of the Baltic sea or even better beyond the polar circle or the equator - preferably to magnificent landscapes and unspoilt wilderness full of shimmering, fly eating predators. You probably recognize the pattern - or you are one lucky bastard living in just one of these places.
But why then
would you spend time reading other peoples fishing stories instead of doing your home waters justice and grace them with your casts? Most probably this originates from he most profound human flaw - pure and simple curiosity. That one little thing that our creator punished with canceling our membership in the famous Eden Club, where food, drinks and dolce vita were for free. Would have been free. Lifelong actually and without a fee, if you remember the story…
But our ancestors
chose the apple and thus the hard way. Struggling along this path we at least piled up quite an impressive heap of achievements including pyramids, parachute flies and barbless hooks. But we still suffer a lot for not being content with what's just there and given. It's that nasty bug in the back of our great little brains. Do you still get excited, when you think about your home waters? Guess what: I do! But then, I am 44 now and my testosterone levels might be involved.
However I reached
this new state of mind. I'm starting to discover the appeal of my home waters. I realize how special and exotic they might be for someone not living here. Some of you will recognize that pattern too, I guess.
In earlier years I often thought I got sort of swapped at the hospital and then massively misplaced far away from the seas, the horizons and all those splendid ocean fish.
More and more
I find my peace and accept my roots as a fly-fisherman here - and not on a bonefish flat in Belize. This "here" is the alpine foothills of eastern Switzerland. It is true, millions of tourists visit those mountain valleys, the deep blue lakes and the picture book villages. But very rarely do they ask or even think about fishing. So I grew up with the image of living in a non-angling part of the globe. But that's not true. I even regard it as a privilege now to live here with the mountain wilderness literally beginning a good cast from my backdoor.
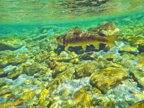
After two or
three hours hiking uphill I can sneak into untouched valleys and fish small mountain streams full of wild brown trout. Of course they won't break your rod with their weight, but some well proportioned alpine beauties have come close to breaking my heart when they turned down my seduction skills. Of course you cannot trust a stranger from a country formerly not known for any form of renowned fly-fishing water.
I'll start with
some impressions from my alpine home waters featuring trout and lonely fishermen in Swiss drinking quality waters. And if there's some signs of interest or compassion (OK, he's 44 and needs some midlife crisis distraction. Let him write then…)
I'll be glad to take you on a tour to the widely unknown fly-fishing in the heart of the Alps. And maybe that's going to be a daydreaming issue for some of you out there.
I wish you
all tight lines, not tight schedules.
Daniel Luther
- Log in to post comments




















I visited
I visited the Swiss Alps back in '72, while in the Army serving in Germany, and, though not a trout fisherman at the time, I was truly amazed at the abundance and the size of the trout in the streams there; I thought that it surely must be a fisherman's paradise. However, I never saw any anglers in the streams that I hiked along, just LOTS of trout, amazing quatities of trout. So, I figured that fishing must be illlgal in those streams, some of which ran right alongside the paved roads I used for sightseeing purposes. Some of the deeper holes had fish in them that looked to be in the 21/2-3lb range; one deeper hole in particular was so small in diameter that the fish seemed to be bumping into each other while jostling for a safer position as their gazes met with mine. Unfortunately I didn't have a camera at the time, but the mental images will last a lifetime.
Fantastic photos
Fantastic photos and article! A place to go!